Partnerzy serwisu:
Miasto

Metro na Bemowo: Kolejny etap budowy ze zmianami w ruchu

Dalej Wstecz
Partner działu

Balzola Polska

Autor:

Redakcja

Data publikacji:
18-06-2019
Tagi geolokalizacji:

Podziel się ze znajomymi:

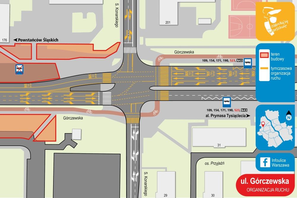
Budowa stacji „Powstańców Śląskich” postępuje. Kolejne etapy budowy oznaczają jednak konieczność wdrożenia dalszych zmian w ruchu. Ich wprowadzenie nastąpi w kilku etapach, które potrwają od piątku, 21 czerwca do poniedziałku, 1 lipca.

Stacja C4 Powstańców Śląskich powstaje pod południową jezdnią ul. Górczewskiej, na wysokości Urzędu Dzielnicy Bemowo. Wdrożenie zmian rozpocznie się w piątek, 21 czerwca, około godz. 22.00. Wówczas rozpocznie się wytyczanie pasów dla autobusów, taxi, MTON i motocykli na ul. Człuchowskiej: pomiędzy ul. Lazurową i Świetlików na jezdni północnej oraz od ul. Raginisa do Lazurowej na jezdni południowej, a także na wschodniej jezdni ul. Powstańców Śląskich od ul. Człuchowskiej do pl. Kasztelańskiego.

Wprowadzanie zmian na ul. Górczewskiej rozpocznie się w czwartek, 27 czerwca, około godz. 22.00. Wtedy to wykonawca budowy metra przystąpi do wyłączenia z ruchu północnej jezdnia ul. Górczewskiej, na odcinku od ul. S. Konarskiego do wysokości budynku nr 210. Kierowcy tymczasową jezdnią na odcinku pomiędzy ul. Konarskiego a budynkiem nr 210 pojadą w poniedziałek, 1 lipca, około godz. 10.00. Wtedy zakończy się wprowadzenia zmian w organizacji ruchu.

Na ul. Górczewskiej, w pasie dzielącym jezdnie, powstała tymczasowa jezdnia, na którą zostanie przeniesiony ruch w kierunku granicy miasta. Będą tu dwa pasy ruchu – jeden z nich zostanie przeznaczony dla autobusów komunikacji miejskiej, taksówek, pojazdów MTON i motocykli. Jadący od strony centrum przejadą na tymczasową jezdnię na skrzyżowaniu z ul. Konarskiego, a na skrzyżowaniu z ul. Powstańców Śląskich będą mogli pojechać we wszystkich kierunkach. Na właściwą jezdnię wrócą przed centrum handlowym, na wysokości budynku nr 210. Natomiast jadący ul. Powstańców Śląskich od strony Bielan będą mieli dwa pasy do skrętu w lewo w ul. Górczewską. Ruch w stronę ul. Konarskiego będzie odbywał się jezdnią południową, będą na niej trzy pasy: jeden do jazdy prosto oraz po jednym do skrętu w prawo lub w lewo w ul. S. Konarskiego.

Na północnej jezdni ul. Górczewskiej na odcinku od ul. Powstańców Śląskich do budynku nr 210 oraz na południowej jezdni od pętli Os. Górczewska do ul. Powstańców Śląskich wyznaczone zostaną pasy dla autobusów, taxi, MTON i motocykli. Podobne buspasy będą funkcjonowały także na ul. Człuchowskiej: pomiędzy ul. Lazurową i Świetlików na jezdni północnej oraz od ul. Raginisa do Lazurowej na jezdni południowej, a także na wschodniej jezdni ul. Powstańców Śląskich od ul. Człuchowskiej do pl. Kasztelańskiego.

Zmiany będą dotyczyły także pieszych i rowerzystów. Plac budowy obejmie chodnik i drogę dla rowerów po północnej stronie ul. Górczewskiej pomiędzy ul. S. Konarskiego a Powstańców Śląskich. Po południowej stronie jezdni zostanie wyznaczona tymczasowa droga dla rowerów. Po tej stronie utrzymany będzie także chodnik, którym będzie można dojść do Urzędu Dzielnicy Bemowo. Utrzymane będzie także dojście od skrzyżowania ulic Powstańców Śląskich i Górczewskiej do osiedla przy ul. Bolkowskiej. Z kolei na odcinku od ul. Powstańców Śląskich do Klemensiewicza chodnik będzie utrzymany po obydwu stronach ulicy, po północnej stronie będzie funkcjonował ciąg pieszo-rowerowy. Na skrzyżowaniu z ul. Powstańców Śląskich utrzymane będą przejazdy dla rowerów przez wszystkie wloty ulic. Na wysokości skrzyżowania zmieni się przebieg drogi dla rowerów po zachodniej stronie ul. Powstańców Śląskich.
Partner działu

Balzola Polska

Tagi geolokalizacji:

Podziel się z innymi:

Zobacz również:

Metro na Karolin: Rośnie zaplecze II linii

Miasto

Metro na Karolin: Rośnie zaplecze II linii

Witold Urbanowicz 26 czerwca 2024

Rusza drążenie tuneli na ostatnim odcinku II linii metra

Miasto

Rusza drążenie tuneli na ostatnim odcinku II linii metra

Infrastruktura

Metro naprawia sufit na Bemowie. Ale… nie da się go wyczyścić

Infrastruktura

Metro na Karolin: Rośnie zaplecze II linii

Infrastruktura

Metro na Karolin: Rośnie zaplecze II linii

Witold Urbanowicz 27 czerwca 2024

Zobacz również:

Metro na Karolin: Rośnie zaplecze II linii

Miasto

Metro na Karolin: Rośnie zaplecze II linii

Witold Urbanowicz 26 czerwca 2024

Rusza drążenie tuneli na ostatnim odcinku II linii metra

Miasto

Rusza drążenie tuneli na ostatnim odcinku II linii metra

Infrastruktura

Metro naprawia sufit na Bemowie. Ale… nie da się go wyczyścić

Infrastruktura

Metro na Karolin: Rośnie zaplecze II linii

Infrastruktura

Metro na Karolin: Rośnie zaplecze II linii

Witold Urbanowicz 27 czerwca 2024

Kongresy
SZKOLENIE ON-LINE
Śledź nasze wiadomości:
Zapisz się do newslettera:
Podanie adresu e-mail oraz wciśnięcie ‘OK’ jest równoznaczne z wyrażeniem zgody na:
  • przesyłanie przez Zespół Doradców Gospodarczych TOR sp. z o. o. z siedzibą w Warszawie, adres: Sielecka 35, 00-738 Warszawa na podany adres e-mail newsletterów zawierających informacje branżowe, marketingowe oraz handlowe.
  • przesyłanie przez Zespół Doradców Gospodarczych TOR sp. z o. o. z siedzibą w Warszawie, adres: Sielecka 35, 00-738 Warszawa (dalej: TOR), na podany adres e-mail informacji handlowych pochodzących od innych niż TOR podmiotów.
Podanie adresu email oraz wyrażenie zgody jest całkowicie dobrowolne. Podającemu przysługuje prawo do wglądu w swoje dane osobowe przetwarzane przez Zespół Doradców Gospodarczych TOR sp. z o. o. z siedzibą w Warszawie, adres: Sielecka 35, 00-738 Warszawa oraz ich poprawiania.
Współpraca:
Rynek Lotniczy
Rynek Infrastruktury
TOR Konferencje
ZDG TOR
ZDG TOR
© ZDG TOR Sp. z o.o. | Powered by BM5
Zamknij