Partnerzy serwisu:
Zintegrowany transport

Wrocław zapowiada kolejne remonty torów. Legnicka, Podwale czy Kołłątaja

Dalej Wstecz
Data publikacji:
03-01-2025
Ostatnia modyfikacja:
03-01-2025
Tagi geolokalizacji:

Podziel się ze znajomymi:

MPK Wrocław wciąż ma sporo planów remontowych w zakresie torowisk. W ciągu trzech najbliższych lat przewoźnik planuje wymianę szeregu rozjazdów oraz modernizację torów na Mickiewicza, kolejnym fragmencie Legnickiej, Peronowej czy w końcu na Podwalu, od Renomy do Krupniczej.

MPK Wrocław od kilku lat stara się poprawiać jakość swoich torowisk tramwajowych w celu minimalizacji wykolejeń tramwajów i zwiększenia komfortu podróżny pasażerów. W tym celu miasto wprowadziło program Torywolucja, a utrzymanie torowisk w końcu trafiło bezpośrednio do MPK Wrocław, które wcześniej nie zajmowało się tą gałęzią ruchu tramwajowego. Stało się to w 2019 roku.

Od tego momentu MPK co roku przeprowadza kolejne remonty i modernizacje torowisk. Aktualnie trwa chociażby remont torów na placu Powstańców Wielkopolskich wraz z budową nowych relacji skrętnych, których do tej pory brakowało. Prace w tym miejscu mają zakończyć się za około miesiąc.

“Utrzymanie torowisk było traktowane po macoszemu”

– W naszym mieście do niedawna mieliśmy chyba jedno z największych wyzwań w kraju, jeśli chodzi o stan naszych torowisk. Przez lata ta infrastruktura tramwajowa - zarówno tory jak i sieć trakcyjna była traktowana jak takie potrzeby trzeciego, czy czwartego rzędu, stąd duża degradacja i ponad 100 wykolejeń i rozjechań. Dlatego stworzyliśmy program Torywolucja – przypomina w rozmowie z nami Witold Woźny, prezes MPK Wrocław.

Przedstawiciel MPK dodaje, że do tej pory miasto skupiało się na prowadzeniu remontów w okresie letnim, kiedy to ruch i potoki pasażerskie są najmniejsze w roku, lecz to podejście zmienia się z powodu wielu zadań remontowych przed jakimi stoi MPK. Przykładem tego jest właśnie remont placu Powstańców Wielkopolskich, zaczęty ledwie kilka tygodni temu.

Prezes Woźny przekazał nam, że kontynuacją tego zadania będzie remont torów na Trzebnickiej co koreluje z Mostem Trzebnickim. Kolejnym dużym zadaniem modernizacyjnym na przyszły rok jest remont około 2-kilometrowego odcinka torowiska na Kosmonautów. O tym zadaniu więcej piszemy w tym miejscu.

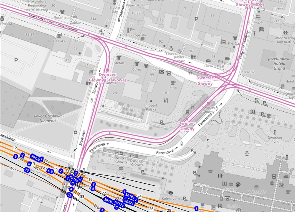
Remont torów na Peronowej, Stawowej oraz na Podwalu

Nasz rozmówca pytany o dalsze plany remontowo-modernizacyjne przedstawia nam całą listę zadań, jakie MPK chciałoby zrealizować w latach 2026-2027.

– Oczywiście mamy plany na kolejne lata, ale jak to bywa w przypadku planów – nie należy ich brać za pewnik. W 2026 roku nastąpi m.in. wymiana pięciu rozjazdów i skrzyżowania torowego na skrzyżowaniu ul. Pomorskiej i Dubois, modernizacja torowiska na skrzyżowaniu ul. W. Łokietka i św. Macieja, torowiska tramwajowego w ul. Stawowej i ul. Peronowej od wiaduktu kolejowego do Piłsudskiego. Zajmiemy się również ul. Glinianą na wysokości skrzyżowania z ul. Łódzką, oraz ul. Podwale od Krupniczej do Świdnickiej – wylicza Witold Woźny.



Fragment trasy na Podwalu



Tory na ulicy Peronowej

W 2027 roku remont Kołłątaja oraz kolejnego odcinka Legnickiej

W 2027 MPK planuje dalsze prace, zarówno punktowe jak i liniowe – W tym czasie czeka nas modernizacja torowiska w ul. Kołłątaja od ul. Teatralnej do ul. Rejtana, wymiana rozjazdu na skrzyżowaniu ul. Krupniczej z ul. Kazimierza Wielkiego - rozjazd w ul. Krupniczej oraz wymiana rozjazdu na skrzyżowaniu ul. Krupniczej z ul. Podwale rozjazd w ul. Krupniczej.



Trasa na Kołłątaja

Ponadto MPK chciałoby zmodernizować odcinek torów w ciągu ulicy Mickiewicza - nie wiemy na jakim odcinku, choć miałoby się to zadziać w cieniu budowy tramwaju na Swojczyce, który będzie zaczynał swój bieg na obecnej pętli Sępolno. Kolejne zadania to wymiana rozjazdów na pl. Powstańców Wlkp. na skrzyżowaniu z ul. B. Chrobrego i pl. S. Staszica oraz modernizacja torowiska tramwajowego w ul. Legnickiej od ul. Sokolniczej do pl. Strzegomskiego.



Wspomniany fragment trasy tramwajowej na Legnickiej

Poza modernizacją torowisk MPK stoi przed dalszymi wyzwaniami związanymi z budową nowej zajezdni tramwajowej, pozyskaniem ponad 150 nowych tramwajów czy w końcu zakupem nowych autobusów.
Tagi geolokalizacji:

Podziel się z innymi:

Zobacz również:

Wrocław. MPK chce kupić nawet 200 autobusów. Jakich pojazdów szuka?

Zintegrowany transport

Wrocław. MPK chce kupić nawet 200 autobusów. Jakich pojazdów szuka?

Daniel Siwak 22 września 2025

Wrocław. MPK z umową na projekt zajezdni na Nowych Żernikach

Zintegrowany transport

Wrocław. Pierwsza Škoda 19T z systemem antykolizyjnym

Zintegrowany transport

Wrocław. Pierwsza Škoda 19T z systemem antykolizyjnym

Daniel Siwak 22 października 2025

Wrocław. MPK zaprezentowało pierwszą Škodę 19T po modernizacji [zdjęcia]

Zintegrowany transport

Wrocław. Modernizacja pierwszych Twistów MPK mocno poza budżetem

Zintegrowany transport

Wrocław. Kierowcy autobusów MPK zaatakowani gazem pieprzowym [wideo]

Zintegrowany transport

Zobacz również:

Wrocław. MPK chce kupić nawet 200 autobusów. Jakich pojazdów szuka?

Zintegrowany transport

Wrocław. MPK chce kupić nawet 200 autobusów. Jakich pojazdów szuka?

Daniel Siwak 22 września 2025

Wrocław. MPK z umową na projekt zajezdni na Nowych Żernikach

Zintegrowany transport

Wrocław. Pierwsza Škoda 19T z systemem antykolizyjnym

Zintegrowany transport

Wrocław. Pierwsza Škoda 19T z systemem antykolizyjnym

Daniel Siwak 22 października 2025

Wrocław. MPK zaprezentowało pierwszą Škodę 19T po modernizacji [zdjęcia]

Zintegrowany transport

Wrocław. Modernizacja pierwszych Twistów MPK mocno poza budżetem

Zintegrowany transport

Wrocław. Kierowcy autobusów MPK zaatakowani gazem pieprzowym [wideo]

Zintegrowany transport

Kongresy
SZKOLENIE ON-LINE
Śledź nasze wiadomości:
Zapisz się do newslettera:
Podanie adresu e-mail oraz wciśnięcie ‘OK’ jest równoznaczne z wyrażeniem zgody na:
  • przesyłanie przez Zespół Doradców Gospodarczych TOR sp. z o. o. z siedzibą w Warszawie, adres: Sielecka 35, 00-738 Warszawa na podany adres e-mail newsletterów zawierających informacje branżowe, marketingowe oraz handlowe.
  • przesyłanie przez Zespół Doradców Gospodarczych TOR sp. z o. o. z siedzibą w Warszawie, adres: Sielecka 35, 00-738 Warszawa (dalej: TOR), na podany adres e-mail informacji handlowych pochodzących od innych niż TOR podmiotów.
Podanie adresu email oraz wyrażenie zgody jest całkowicie dobrowolne. Podającemu przysługuje prawo do wglądu w swoje dane osobowe przetwarzane przez Zespół Doradców Gospodarczych TOR sp. z o. o. z siedzibą w Warszawie, adres: Sielecka 35, 00-738 Warszawa oraz ich poprawiania.
Współpraca:
Rynek Lotniczy
Rynek Infrastruktury
TOR Konferencje
ZDG TOR
ZDG TOR
© ZDG TOR Sp. z o.o. | Powered by BM5
Zamknij