Niedawno Warszawa odebrała studium sieci metra, zakładające powstanie pięciu niezależnych linii metra. W propozycjach nowych rozwiązań projektanci wyciągnęli wnioski i zerwali z wieloma dotychczasowymi przypadłościami i złymi rozwiązaniami w zakresie niefunkcjonalnych stacji. Inne aspekty – jak jakość przesiadek – niestety wciąż budzi wątpliwości.
Jak
pisaliśmy, w studium założono sieć pięciu niezależnych linii. Podyktowane jest to chęcią utrzymania większej niezawodności i elastyczności poszczególnych elementów sieci (opóźnienia z jednej linii nie są przenoszone na inną, częstotliwości na poszczególnych trasach mogą być kształtowane niezależnie w dopasowaniu do potoków).
Taki układ, aby był wygodny dla pasażerów, musi się opierać na dwóch ważnych przesłankach. Jedną z nich są tzw. niezauważalne czasy oczekiwania, które – jak wskazali autorzy studium – nie mogą przekraczać pięciu minut. Drugi aspekt to wygodne i funkcjonale przesiadki, które rekompensują rezygnację z układu bezpośrednich połączeń.
Pięć typów stacjiProjektanci z ILF-u zaproponowali pięć różnych typów stacji – z uwzględnieniem bezpieczeństwa ruchu pasażerów i aspektów ekonomicznych. Pierwszy typ –
A – to stacje z peronem wyspowym, ze schodami w obrysie peronu (bliżej środka). Minimalna szerokość peronu wyspowego to 10 m. Zaletą jest kompaktowość stacji, co przekłada się na koszty i łatwość wykonania. Jednocześnie występuje zjawisko krzyżowania i przeplatania się potoków, mogą pojawiać się wąskie gardła. Takie układy rekomendowane są dla stacji o mniejszym obciążeniu potokami, poza centrum, w miejscach, które nie są węzłami przesiadkowymi.
mat. ILF / UM Warszawa
Typ
B to stacja z peronem wyspowym – schody są zlokalizowane na krańcach peronów. Układ ten dobrze się sprawdza na I odcinku I linii metra od Kabat do Politechniki. Zaletą są szerokie schody i pozostawienie całej szerokości peronu bez żadnych zwężeń, choć dalej występuje przeplatanie się potoków. W takim układzie wydłuża się korpus stacji, co wpływa na koszty. Ten typ rekomendowany jest dla stacji o średnim obciążeniu – także przesiadkowym.
mat. ILF / UM Warszawa
Typ
C to stacja z peronami bocznymi (jak np. na stacji Centrum) – ze schodami na krańcach / z boku peronu. Minimalna szerokość peronu bocznego to 5 m. Zaletą jest wczesne rozdzielenie strumieni pasażerów, dlatego taki układ rekomendowany jest dla stacji o dużym obłożeniu, w tym także obleganych stacji przesiadkowych.
mat. ILF / UM Warszawa
Szczególną propozycją jest typ
D – to stacje z peronami bocznymi zlokalizowanymi na dwóch poziomach (jeden pod drugim). Takie przystanki są przeznaczone dla lokalizacji o ograniczonej dostępności terenu na powierzchni – i w zasadzie występują jedynie na V linii metra.
mat. ILF / UM Warszawa
Kolejne szczególne rozwiązanie to typ
E – układ dwóch równoległych peronów wyspowych. Zaproponowano dwie takie stacje – Marymont i Żwirki i Wigury. Poszczególne perony grupują kierunki, a nie linie. Układ ten umożliwia więc jednoperonowe przesiadki w najbardziej popularnych relacjach (przykładowo pasażerowie jadący z Bródna linią M2 przesiadaliby się na Marymoncie w obrębie jednego peronu do pociągu linii M4, stojącego przy drugim torze, który dalej jechałby w kierunku centrum i południowych dzielnic). To znany układ, który z powodzeniem jest stosowany w wielu systemach metra od wielu dekad – niestety, w Warszawie nie udało się go zastosować na stacji Stadion, gdzie przecież również powstał układ dwóch równoległych peronów. Na Stadionie każdy peron jest jednak przyporządkowany innej linii. W efekcie jeden peron przez lata będzie stał pusty do czasu ewentualnej budowy M3 – natomiast po jej realizacji pasażerowie będą skazani na mniej wygodne przesiadki przez poziom antresoli.
mat. ILF / UM Warszawa
Widać, że projektanci ILF-u odrobili lekcje z dotychczasowych doświadczeń warszawskiego metra. Do tej pory urzędnicy i Metro lubowali się w „kompaktowych” stacjach – ze schodami przesuniętymi do środka peronu. W efekcie powstało wiele wąskich gardeł – albo wąskich schodów (jak np. na Świętokrzyskiej M1 i Ratuszu), albo wąskich przejść na peronie (jak np. na Świętokrzyskiej M2). W taki sposób zbudowana została większość stacji II linii – i paradoksalnie perony tych centralnych, najbardziej obłożonych przystanków są najbardziej „zagracone”. Najlepiej to widać na Świętokrzyskiej M2, gdzie pasażerowie muszą przeciskać się między schodami, wielkimi kolumnami a krawędzią peronu, a z głośników co chwilę leci komunikat „Proszę odsunąć się od krawędzi peronu”. Ewidentnie górę wzięła „łatwość wykonania i mniejsze koszty budowy” nad „jakością obsługi pasażerów”.
mat. ILF / UM Warszawa
Przesiadki wygodne i ułomneBezpośrednio na komfort podróży wpływa jakość przesiadek. Zarówno pomiędzy liniami metra, jak i innymi środkami transportu. Niestety, dotychczasowe doświadczenia nie są obiecujące. Projektanci z ILF-u przyjęli słuszne ogólne założenia: minimalizacja drogi pieszej, zapewnienie maksymalnej szerokości przejścia, nieprzeciążanie nadmiernymi potokami nowych elementów infrastruktury.
Niestety, gorzej wypada to w szczegółach. Dla linii krzyżujących się w dwóch poziomach i dwóch nowych stacjach założono budowę bezpośredniego łącznika między peronami. W przypadku połączenia nowej i starej stacji – autorzy studium założyli jedynie przejście przez wspólną antresolę. Wynika to z dyskusyjnych przesłanek: chęci minimalizacji ingerencji w istniejące obiekty oraz zachowanie głównej struktury istniejących stacji (konstrukcja oraz najważniejsze elementy układu technologicznego oraz komunikacyjnego) bez zmian. Chodzi też o minimalizację ingerencji w funkcjonowanie istniejących linii metra.
Jakie to ma konsekwencje – widać na kluczowych stacjach przesiadkowych. Np. na
Marymoncie w przyjętym układzie stacje M4/M2 i M1 stykają się końcami (głowicami). Przejście między liniami zaproponowano łącznikiem nad peronami – pasażerowie z M4/M2 wtłaczani byliby na istniejącą antresolę stacji M1 w miejscu, gdzie znajduje się korytarz przesiadkowy do tramwajów i wąskie zejście na peron. „Po analizie układu konstrukcyjnego, funkcjonalnego oraz komunikacyjnego wykluczono możliwość bezpośredniego połączenia stacji projektowanej z istniejącą na poziomie peronów oraz hali odpraw. Najbardziej optymalnym rozwiązaniem jest powiązanie funkcjonalne stacji przejściem podziemnym z istniejącym przejściem pod ul. Słowackiego na przystanki tramwajowe i autobusowe” – stwierdzają autorzy studium. Kłóci się to z ideą roli „bajpasa”, jaką względem linii M1 ma pełnić linia M4.
mat. ILF / UM Warszawa
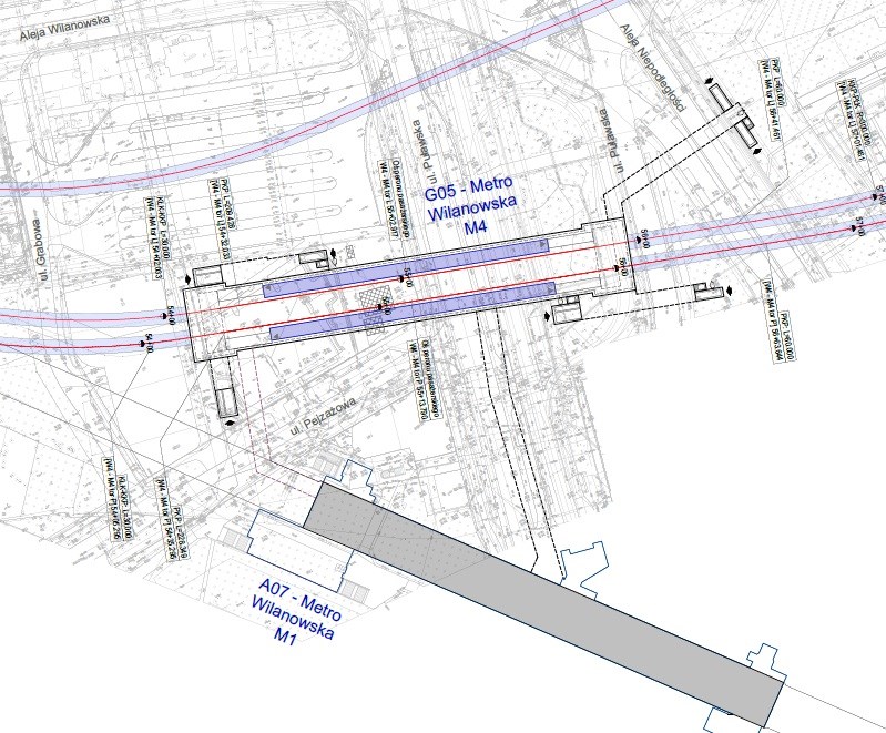
Nieco lepiej sytuacja wygląda na
Wilanowskiej – ale to jedynie za sprawą dobrego, pierwotnego układu stacji M1 z rozbudowanymi galeriami nad peronami i środkowym zejściem. Koncepcja projektantów ILF-u zakłada w wariancie podstawowym jeden korytarz przesiadkowy do środka antresoli stacji M1 (znajduje się tam zejście ze schodami ruchomymi). Projektanci zaznaczają jednak, że na dalszym etapie należy przeanalizować możliwość budowy drugiego łącznika – pomiędzy wschodnimi głowicami dwóch stacji (będzie to wymagało przebudowy stacji M1 w części technologicznej).
mat. ILF / UM Warszawa
Kuriozalnie wygląda stacja
Rondo Daszyńskiego (M2/M4) – i to w miejscu, dla którego projektanci przewidują największe potoki podróżnych na linii M4. Nową stację zaproponowano znów po jednej, północnej stronie skrzyżowania – oficjalnie „w celu wyrównywania odległości międzystacyjnych”. Przesiadki między liniami miałyby się odbywać przez jeden korytarz antresoli i mieszać się z potokami podróżnych zmierzających w kierunku kompleksu biur na pl. Europejskim i tramwajów w ciągu Towarowej. Nie wiadomo dlaczego nie zaproponowano stacji bardziej pod rondem – z obsługą z dwóch podziemnych korytarzy okrążających skrzyżowanie (jak na Rondzie ONZ), choć można przypuszczać, że chodziło o uniknięcie budowania stacji pod istniejącymi i funkcjonującymi tunelami II linii metra (nie jest to jednak sztuka nieznana budowniczym: w taki sposób, w otwartym wykopie, powstawał tunel południowej obwodnicy pod działającym tunelem I linii na ursynowskim odcinku). Bez odpowiedzi pozostaje kwestia rozwiązania dwukrotnego przejścia przez linię bramek biletowych.
mat. ILF / UM Warszawa
Bezpośrednich połączeń między peronami nie przewidziano na
Racławickiej (M1/M3). Tu nie będzie to jednak bardzo uciążliwe z uwagi na małe prognozowane potoki na M3. Autorzy zasugerowali jednak przebudowę głowicy południowej stacji M1 w zakresie dobudowy schodów ruchomych.
mat. ILF / UM Warszawa
Warunek ograniczania ingerencji w istniejące obiekty jest niezrozumiały i skutkuje mniej wygodnymi przesiadkami. Problematyka łączenia nowych stacji ze starymi jest znana od kilku dekad z innych systemów metra – sporo jest przykładów większych przebudów, w których udało się wygodnie zintegrować nową stację ze starą, choć oczywiście wiązało się to z utrudnieniami w ruchu (zamknięcie stacji czy przerwa w ruchu). Londyn wydaje teraz miliardy na poprawę przepustowości istniejących kluczowych stacji, co wiąże się z budową nowych wejść, hal odpraw, korytarzy, a nawet szerszych peronów. Niezrozumiałe jest też dlaczego projektanci chcą na „kluczowych węzłach przesiadkowych” komasować przesiadki do jednego łącznika – w wielu systemach praktyką jest budowanie więcej niż jednego łącznika przesiadkowego, co zapewnia równomierne rozkładanie się potoków.
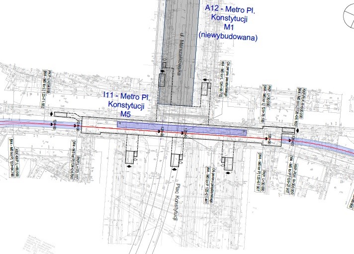
Bezpośrednie korytarze – pod pewnymi warunkamiCiekawie wygląda sytuacja ze stacją
Plac Konstytucji. Autorzy studium zaznaczyli, że „na etapie projektowania i budowy stacji Pl. Konstytucji na linii M1 należy przewidzieć techniczną możliwość budowy stacji na linii M5 wraz z możliwością połączenia stacji bezpośrednio pomiędzy peronami oraz na poziomie antresoli”. Projekt stacji już teraz powstaje na zlecenie Metra Warszawskiego. Projektanci Metra, zrażeni być może doświadczeniami ze Świętokrzyskiej, stwierdzili, że jest za mało miejsca na przesiadki między peronami – te powinny odbywać się wyłącznie przez antresolę.
mat. ILF / UM Warszawa
Jest za to nadzieja dla stacji
Ostrobramska (M3/M5). Autorzy studium zaznaczyli, że „na etapie projektowania stacji linii M3 można przeanalizować możliwość połączenia bezpośredniego stacji na poziomie peronów i przewidzieć przestrzeń na to połączenie”. Podobnie wygląda sytuacja ze stacją
Plac Narutowicza (M4/M5). „Na etapie projektowania i budowy stacji Pl. Narutowicza należy przewidzieć techniczną możliwość budowy stacji na linii M4 z możliwością połączenia stacji na poziomie antresoli oraz bezpośrednio z jednym z peronów bocznych linii M4” – wskazują autorzy.
mat. ILF / UM Warszawa

Rolę przesiadkową będzie pełnić też stacja
Posag 7 Panien (M2/M5). Co ciekawe, udało się zaproponować łącznik bezpośredni między peronami dwa razy szerszy niż obecnie funkcjonujące przejście na Świętokrzyskiej, na której występują i będą występować znacznie większe potoki podróżnych.
mat. ILF / UM Warszawa
Gdzie wyjściaPrzyjęto trzy układy wejść na stacje. Minimalny zakłada po jednym szerokim wejściu na każdej głowicy. Taki układ zarezerwowany jest dla stacji osiedlowych. Podstawowy – obsłużenie wszystkich narożników skrzyżowania i stron ulicy, pod którą znajduje się metro. Rozbudowany – obsłużenie rozległego węzła lub skrzyżowania. „W miarę możliwości, ze względu na dostępne szerokości przystanków”, starano się też zapewnić wyjścia na przystanki tramwajowe i autobusowe. Zaproponowano pięć układów wyjść, różniących się szerokością i układem schodów ruchomych i wind.
mat. ILF / UM Warszawa
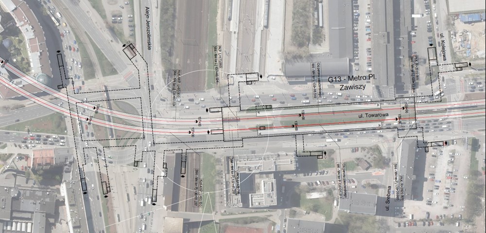
Warto nadmienić, że zaplanowano łączniki z peronami kolejowymi na stacjach Toruńska (M2), Ursus Północny (M2), Żwirki i Wigury (M3 i M4), Służewiec (M4), Pl. Zawiszy (M4), Gocławek – opcja (M5), Al. Jerozolimskie (M5). W części przypadków można odnieść jednak wrażenie, że nie wzięto pod uwagę toczących się prac projektowych, koncepcyjnych czy studialnych PKP PLK – plany odnoszą się do istniejących lokalizacji peronów kolejowych (miejscy urzędnicy wyjaśniają, że prace koncepcyjne po stronie kolei jeszcze trwają i nie zawsze znany i zatwierdzony jest docelowy wariant; zresztą skomunikowanie stacji można poprawić i zmienić na późniejszym etapie). Pytania może budzić ulokowanie stacji Plac Zawiszy po północnej stronie linii średnicowej. Autorzy studium wyjaśniają to korzystniejszym obszarem bezpośredniej obsługi, wysoką intensywnością zabudowy i chęcią odciążenia stacji Rondo Daszyńskiego.
Warto podkreślić, że studium ma charakter korytarzowy (ustalenie przebiegu linii) i nie zawiera gotowych projektów budowlanych. Dokument zawiera wizję, której realizacja zajmie wiele lat (horyzont 2050 r., jeśli weźmie się dotychczasowe tempo budowy metra, wydaje się optymistyczny). Przedstawione lokalizacje stacji i wyjść są propozycją / koncepcją, która będzie uszczegóławiana na dalszych etapach. Oczywiście poszczególne rozwiązania
mogą się zmienić na etapie przedprojektowym i projektowym – co pokazuje historia II i III linii metra. Nie zawsze z dobrym skutkiem – czasem optymalizacja skutkuje pogorszeniem funkcjonalności (rezygnacja z części wyjść na Stadionie M2, Świętokrzyskiej M2 czy Rondzie Daszyńskiego M2).
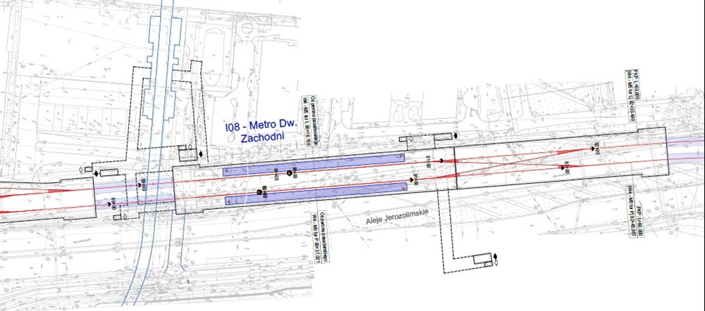
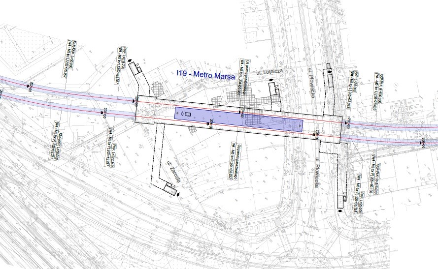
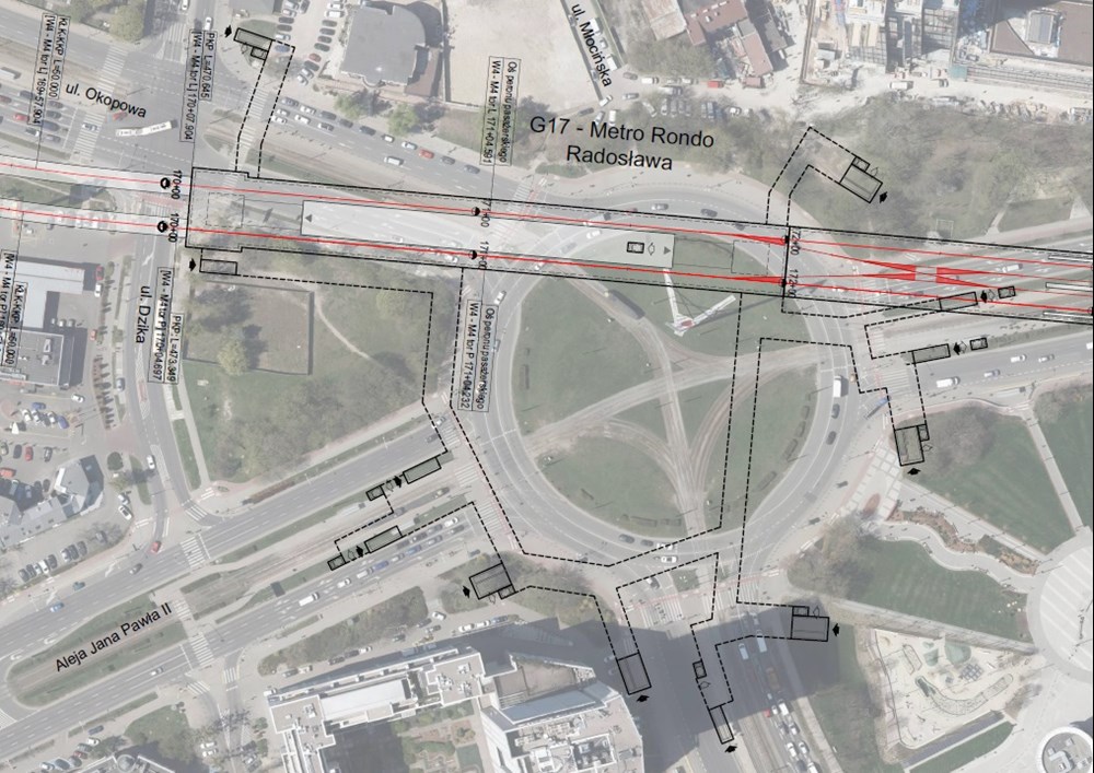
Propozycje układów stacji (ostateczne rozwiązania będą przyjęte w dalszych, bardziej szczegółowych etapach prac przedprojektowych i projektowych).Stacja Plac Zawiszy M4

Stacja Okopowa M4
Stacja Rondo Radosława M4

Stacja Bitwy Warszawskiej 1920 r. M4
Stacja Żwirki i Wigury M4/M3
Stacja Służewiec M4

Stacja Rondo UE M4

Stacja Sobieskiego M4

Stacja Wilanów M4


Stacja Dworzec Zachodni M5

Stacja Węzeł Marsa M5

Stacja PKP Al. Jerozolimskie (M5)
Stacja PKP Gocławek (M5)

Stacja PKP Toruńska (M2)

Stacja Żerań FSO (M2)