Partnerzy serwisu:
Miasto

Jest umowa na budowę tramwaju do Dw. Zachodniego. Koniec budowy w 2026 r.

Dalej Wstecz
Partner działu

Balzola Polska

Data publikacji:
20-02-2024
Ostatnia modyfikacja:
28-02-2024
Tagi geolokalizacji:

Podziel się ze znajomymi:

Tramwaje Warszawskie podpisały umowę z wykonawcą na budowę ok. 1,6-kilometrowej trasy do stacji Warszawa Zachodnia. Inwestycję zrealizuje konsorcjum firm ZUE i Fabe Polska za 362,6 mln zł brutto. Na trasie powstanie pierwszy w stolicy tunel tramwajowy z podziemnym przystankiem.

Przedmiotem podpisanej dziś (20 lutego) umowy jest budowa trasy tramwajowej od Dworca Zachodniego do węzła z ul. Grójecką. Zakres robót obejmuje budowę torowiska, budowę tunelu pod Parkiem Zachodnim i Alejami Jerozolimskimi, wyposażenie odcinka tunelu powstałego w ramach przebudowy Dworca Zachodniego, a także niezbędną przebudowę układu drogowego. Cały planowany odcinek liczy 1,6 km, z czego pod ziemią znajdzie się ok. 500 m trasy. Tramwaje mają pokonać trasę od Grójeckiej w około pięć minut.

– Przez cały czas inwestujemy w transport, który jest naszym priorytetem. Trwają prace przy tramwaju na Kasprzaka i do Wilanowa. Niebawem rozpoczynamy prace na Rakowieckiej. Dziś podpisujemy umowę na kolejny odcinek od Grójeckiej do Dw. Zachodniego. Jest szansa, że w 2026 r. mieszkańcy skorzystają z tego połączenia – mówi Rafał Trzaskowski, prezydent Warszawy. 

– Trasa jest kluczową częścią wielkiej idei, która jest skomunikowania Ochoty i Woli, a także zbudowania wielkiego węzła tramwajowo-autobusowo-kolejowego na Dw. Zachodnim. Kiedy finanse miasta pozwolą, będziemy kontynuować prace studyjne nowych linii na Woli – mówi Wojciech Bartelski, prezes Tramwajów 

W sumie wykonawca będzie miał 26 miesięcy na realizację prac, co oznacza, że budowa powinna zakończyć się w kwietniu 2026 r. W ciągu dwóch miesięcy od podpisania umowy przejmie plac budowy. Pierwsze prace mogą być prowadzone poza pasem drogowym – dokładny harmonogram będzie zależał od uzgodnień z komórkami w mieście odpowiedzialnymi za organizację ruchu.

– Cieszymy się, że będziemy mogli realizować kolejny projekt w Warszawie. Postaramy się zbudować trasę z jak najmniejszymi utrudnieniami dla mieszkańców – mówi Wiesław Nowak, prezes ZUE.

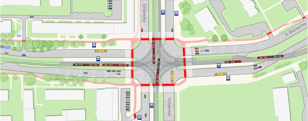
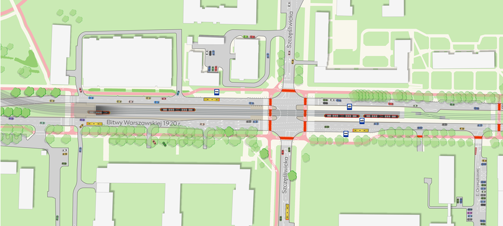
Na skrzyżowaniu Grójeckiej, Bitwy Warszawskiej 1920 r. i Banacha zaplanowano pełną gwiazdę rozjazdową – z nowym układem przystanków na wylotach skrzyżowania. Dalej torowisko będzie poprowadzone w pasie dzielącym jezdnie ul. Bitwy Warszawskiej 1920 r. Między Orzeszkowej a Szczęśliwicką zaplanowano rozjazdy. Za Szczęśliwicką trasa będzie się zagłębiać, by w tunelu pod Parkiem Zachodnim (Pięciu Sióstr) i Al. Jerozolimskimi dotrzeć do podziemnego przystanku przy Dworcu Zachodnim. Jak zapewniają Tramwaje Warszawskie, zrealizowany projekt parku uwzględniał już kwestię budowy tunelu tramwajowego – nie realizowano więc nasadzeń w osi trasy.

Tramwaje będą częściowo wykorzystywać tunel wybudowany już w ramach przebudowy stacji Warszawa Zachodnia, prowadzonej przez PKP PLK. Zgodnie z założeniami w tym etapie będą dojeżdżać do pierwszego podziemnego przystanku, zlokalizowanego na poziomie -2 po południowej stronie stacji, między Alejami Jerozolimskimi a torami WKD. Przed przystankiem zaplanowano rozjazdy dla taboru dwukierunkowego. Perony tramwajowe będą skomunikowane z przejściem podziemnym za pomocą schodów stałych, ruchomych i wind.

Dalsza część tunelu, z dwoma parami przystanków po północnej stronie, pozostanie na razie pustką technologiczną. Perspektywa realizacji dwóch odnóg, łączących Dw. Zachodni z ul. Kasprzaka, jest odległa. Na razie nie mają one zabezpieczonego finansowania, a plan ogólny spółki zakłada realizację "do 2032 r.". Na razie trwają analizy różnych wariantów dalszego przebiegu trasy. W fazie projektowania znajduje się też inny odcinek trasy – od Banacha, przez Pole Mokotowskie, w stronę Rakowieckiej.

Schemat trasy i docelowej organizacji ruchu, mat. TW










Partner działu

Balzola Polska

Tagi geolokalizacji:

Podziel się z innymi:

Zobacz również:

Co słychać na budowie tramwaju do Dw. Zachodniego?

Zintegrowany transport

Co słychać na budowie tramwaju do Dw. Zachodniego?

Redakcja/inf. pras. 11 września 2024

Jak idzie budowa tramwaju do Dw. Zachodniego

Zintegrowany transport

Jak idzie budowa tramwaju do Dw. Zachodniego

UM Warszawa 13 listopada 2024

Tramwaj do Dworca Zachodniego – duże zmiany dla pasażerów na Ochocie

Zintegrowany transport

Co słychać na budowie tramwaju do Dw. Zachodniego?

Infrastruktura

Co słychać na budowie tramwaju do Dw. Zachodniego?

Redakcja/inf. pras. 13 września 2024

Zobacz również:

Co słychać na budowie tramwaju do Dw. Zachodniego?

Zintegrowany transport

Co słychać na budowie tramwaju do Dw. Zachodniego?

Redakcja/inf. pras. 11 września 2024

Jak idzie budowa tramwaju do Dw. Zachodniego

Zintegrowany transport

Jak idzie budowa tramwaju do Dw. Zachodniego

UM Warszawa 13 listopada 2024

Tramwaj do Dworca Zachodniego – duże zmiany dla pasażerów na Ochocie

Zintegrowany transport

Co słychać na budowie tramwaju do Dw. Zachodniego?

Infrastruktura

Co słychać na budowie tramwaju do Dw. Zachodniego?

Redakcja/inf. pras. 13 września 2024

Kongresy
SZKOLENIE ON-LINE
Śledź nasze wiadomości:
Zapisz się do newslettera:
Podanie adresu e-mail oraz wciśnięcie ‘OK’ jest równoznaczne z wyrażeniem zgody na:
  • przesyłanie przez Zespół Doradców Gospodarczych TOR sp. z o. o. z siedzibą w Warszawie, adres: Sielecka 35, 00-738 Warszawa na podany adres e-mail newsletterów zawierających informacje branżowe, marketingowe oraz handlowe.
  • przesyłanie przez Zespół Doradców Gospodarczych TOR sp. z o. o. z siedzibą w Warszawie, adres: Sielecka 35, 00-738 Warszawa (dalej: TOR), na podany adres e-mail informacji handlowych pochodzących od innych niż TOR podmiotów.
Podanie adresu email oraz wyrażenie zgody jest całkowicie dobrowolne. Podającemu przysługuje prawo do wglądu w swoje dane osobowe przetwarzane przez Zespół Doradców Gospodarczych TOR sp. z o. o. z siedzibą w Warszawie, adres: Sielecka 35, 00-738 Warszawa oraz ich poprawiania.
Współpraca:
Rynek Lotniczy
Rynek Infrastruktury
TOR Konferencje
ZDG TOR
ZDG TOR
© ZDG TOR Sp. z o.o. | Powered by BM5
Zamknij